福岡市西区愛宕1丁目土地 (福岡県福岡市 売地)の販売物件
4,380万円
現況:更地|
土地面積:118.84㎡
建物面積:-
建築条件はございません!お好きなメーカーで建築可能です!
物件 No. 1_18180|情報掲載日 2025年12月01日





\PICK UP!/
物件のお問い合わせは駅前不動産前田070-5084-6524まで!
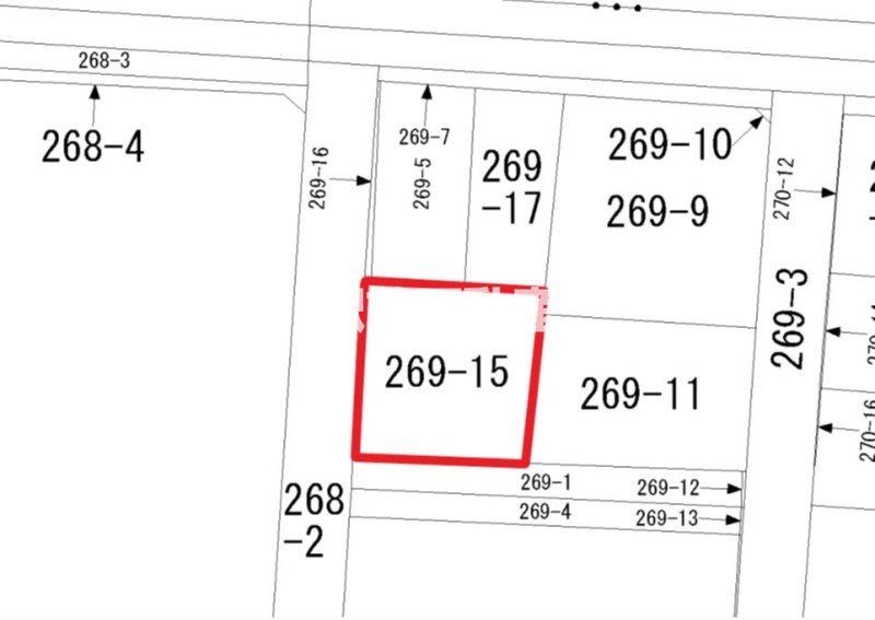
〒819-0015 福岡県福岡市西区愛宕1丁目269-15
福岡市地下鉄空港線 姪浜駅 徒歩9分
| 価格 | 4,380万円 |
|---|---|
| 間取り | - |
| 土地面積 | 118.84㎡ |
| 建物面積 | - |
| 専有面積 | - |
| 現況 | 更地 |
| 築年月 | - |
| 規模/構造 | -/- |
基本情報
| 物件名 | 福岡市西区愛宕1丁目土地 |
|---|---|
| 価格 | 4,380万円 |
| 土地権利 | 所有権 |
| 現況 | 更地 |
| 引渡し | 即時 |
| 条件等 | - |
| 駐車場 | 形式: |
| 管理費/積立金 | - / - |
| 土地面積 | 118.84㎡ |
| 建物面積 | - |
| 専有面積 | - |
| バルコニー 面積・向き | - / - |
| 地勢・地目 | - / 宅地 |
| 構造・規模 (総戸) | - / -(-) |
| 築年月 | - |
| 所在階 | - |
| 管理形態等 | - |
| 建築確認番号 | - |
| 接道 | 一方 方角: 西 幅員 4.0m 公道 接面 10.75m 位置指定: 無 |
| 間取り | - |
| 建ぺい率/ 容積率 | 60% / 200% |
| 都市計画/ 用途地域 | 市街化区域 / 第一種住居地域 |
| 法令上の制限 | - |
| 国土法 | - |
| セットバック | - |
| 情報掲載日 | 2025年12月01日 |
| 取引態様 | 一般媒介 |
| リフォーム施工日 | - |
備考
| その他 | - |
|---|
設備
設備
都市ガス
その他
即入居可 建築条件なし
マップ
最寄駅
周辺情報
※施設については閉店・移転している可能性があります。
最新情報をご確認ください。

